Detalhes do imóvel

    Código   8179
    Estado   PR
    Cidade   Colombo
    Bairro   Campo Pequeno
    Finalidade   Venda
    Categoria   Terreno
    Mobília   Sem Mobília
    Status   Usado
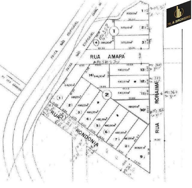
    Área do terreno   12x40
    Área privativa   480 m²
    Área total   480 m²
    Valor do m²   R$750,00
    Valor   R$360.000,00

480 M2/RIO PEQUENO DIVISA CURITIBA/OTIMA LOCALIZÇÃO

-LOCALIZADOS NA RUA RORAIMA 
-12MX40M 
-ZUD3 - ZONA DE USO DIVERSIFICADO 3
-TAXA OCUPAÇÃO MÁXIMA - 50%
-COEF. APROVEITAMENTO 1,00
-TAXA PERMEABILIDADE 25%
-HÁ FAIXA NÃO EDIFICÁVEL QUE ATINGE UM DOS LOTES, FICANDO O OUTRO TOTALMENTE LIVRE PARA CONSTRUIR E USAR O POTENCIAL DE CONSTRUÇÃO DO OUTRO. 
-A FAIXA NÃO EDIFICÁVEL NÃO É APP. NO LOCAL PODE FAZER ESTACIONAMENTO, PÁTIO. ETC


Características destacadas do imóvel:
* AGUA
* ENERGIA ELÉTRICA
* INTERNET FIBRA OTICA
* Terreno Plano



Localização no mapa